VALDEL IMMO A VENDU !!!
€ 150 000
Vendu
1457 Pèrbais(ref. 2205)
538 m²
Valérie MICHAUXvalerie@valdelimmo.be
VALDEL IMMO A VENDU !!!
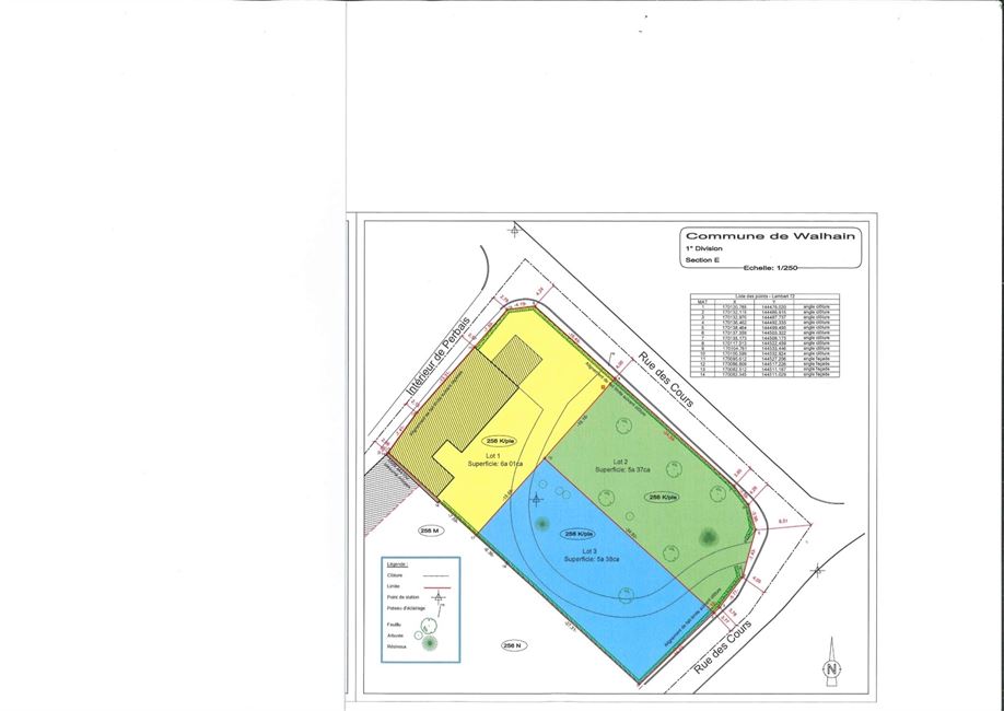
Oyez oyez deux belles parcelles destinées à recevoir votre jolie maison 3 façades sont à vendre à PERBAIS, à 12' de Louvain-la-Neuve, 9' de Gembloux, 14' de Wavre, à 2 pas de la N4, E411, N25, vous serez ravis. Dans le village de Perbais, rural et campagnard à souhait, tout en étant à deux pas de tout ce qui vous est cher, vous serez ravis de pouvoir vous installer dans cette rue super calme. Les deux parcelles de terrains sont issues d'une division. L'accès à la fermette en fonds de parcelle va être créé indépendamment suite à la division. Cette annonce concerne le lot 3 au plan de mesurage et de bornage, sous teinte bleue (lot de gauche) de 5a38ca, avec une largeur de façade de ± 15,72 Mètres, profondeur droite : ± 34,90Mètres, profondeur gauche : ± 27,31 Mètres. Très chouette rue vraiment ! Frais de bornage et de mesurage (1.028,50€ TVAC) et de raccordement à charge de l'acquéreur. Participation aux frais infrastructures réseaux éventuels à charge de l'acquéreur. Petite école communale à Perbais, à un jet de pierre de Chastre. Commune de Walhain mais de l'autre côté de la N4. Descriptif complet : www.valdelimmo.be. On visite ? Vous vous lancez ?
PERBAIS, commune de Walhain, mais à une rue de Chastre, vous serez conquis par la quiétude et la zénitude de cette belle campagne !
Il fait calme, vous êtes au vert, aux portes de magnifiques ballades.
Commerces de proximité, axes, école, Louvain-la-Neuve tout proche, vous vous situez au centre de tout.
Deux parcelles de terrain sont à vendre, issues de la division d'une propriété.
Il est à noter que, lorsque les parcelles seront vendues, un nouvel accès pour la fermette (existante en fonds de parcelle) va être créé, en manière telle que les 3 lots seront totalement indépendants.
Cette annonce concerne le lot 3 au plan de bornage et de mesurage du géomètre (lot bleu)
Frais de bornage et de mesurage à charge de l'acquéreur (1.028,50€)
Frais de raccordement à charge de l'acquéreur
Suite à la division du bien certaines intercommunales de distribution d’eau, de gaz et d’électricité (…), imposent une participation à l’infrastructure réseau même lorsque l’infrastructure est existante.
Il sera donc indiqué dans le compromis de vente que :
« Le vendeur et l’acquéreur conviennent que si de tels frais étaient réclamés, ces frais seraient supportés :
- par l’acquéreur en ce qui concerne la parcelle achetée ;
- par le vendeur pour la parcelle qu’il garde. »
Informations générales
EnvironnementVert
Surface du terrain538 m²
Largeur du terrain15.72 m
Performance énergétique
Certificat d'électricitéPas encore demandé(e)
Financier
Prix€ 150 000
Confort
Informations urbanistiques
Droit de préemptionPas encore demandé(e)
PermisPas encore demandé(e)
CitationPas encore demandé(e)
Permis de lotissementPas encore demandé(e)
AffectationPas encore demandée

Valérie MICHAUXvalerie@valdelimmo.be
.jpeg?format=webp&width=1920&height=auto)




























