• 0499/26.26.50
  • 0472/65.13.29
  • info@valdelimmo.be
  • Assurances
Logo
  • Qui sommes-nous?
  • À vendre
  • Projets neufs
  • À louer
  • Services
  • Contact
  • Estimation gratuite
  • Tenez-moi au courant
Logo

VALDEL IMMO vous propose 2 antennes, une à Wavre au cœur du Brabant Wallon,
l’autre à Woluwé au cœur de Bruxelles et de la Commission Européenne.

OFFICE MANAGER pour les deux entités : Laurence GOVAERTS – 0499/650.950 - laurence@valdelimmo.be

OFFICE MANAGER pour les deux entités : Corinne STORME – 0499/646.200 - corinne@valdelimmo.be

Logo

Bureau Brabant Wallon

AVENUE ZENOBE GRAMME, 30 (1ER ét.)
B-1301 WAVRE-ZONING NORD
Tel : 
0499/26.26.50
valerie@valdelimmo.be


Charte vie privée

Bureau Bruxelles

AVENUE ELEONORE, 6
B-1150 BRUXELLES
Tel : 
0472/65.13.29
delphine@valdelimmo.be


Conditions générales d'utilisation

VALDEL IMMO A VENDU !!!

€ 150.000
Vendu
1457 Pèrbais(ref. 2205)

538 m²

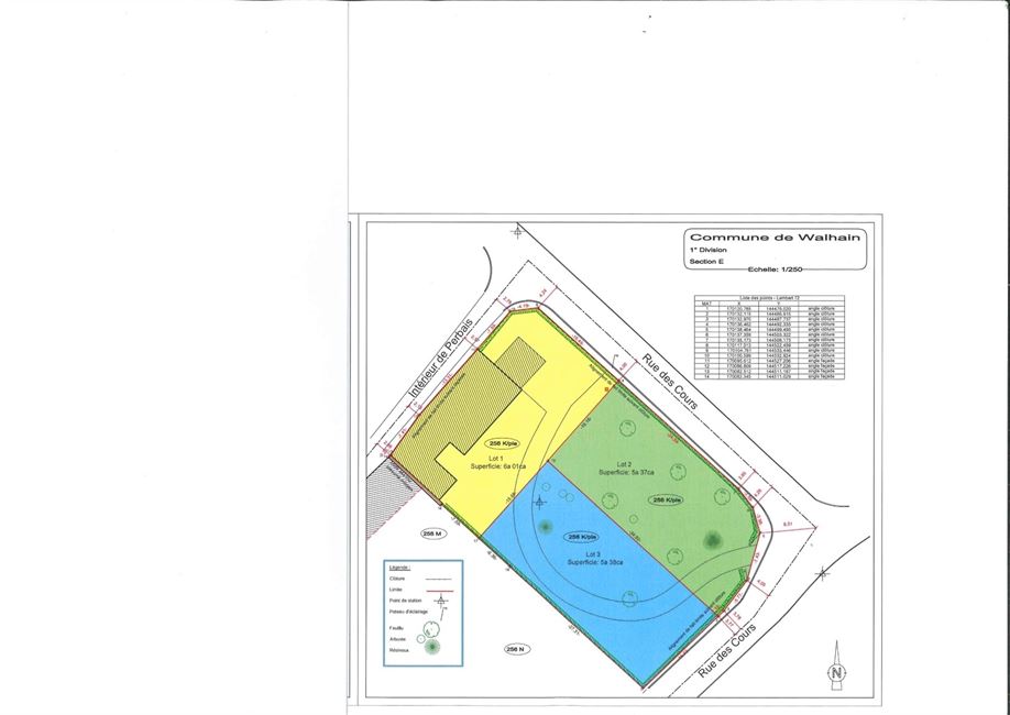
VALDEL IMMO A VENDU !!! Oyez oyez deux belles parcelles destinées à recevoir votre jolie maison 3 façades sont à vendre à PERBAIS, à 12' de Louvain-la-Neuve, 9' de Gembloux, 14' de Wavre, à 2 pas de la N4, E411, N25, vous serez ravis. Dans le village de Perbais, rural et campagnard à souhait, tout en étant à deux pas de tout ce qui vous est cher, vous serez ravis de pouvoir vous installer dans cette rue super calme. Les deux parcelles de terrains sont issues d'une division. L'accès à la fermette en fonds de parcelle va être créé indépendamment suite à la division. Cette annonce concerne le lot 3 au plan de mesurage et de bornage, sous teinte bleue (lot de gauche) de 5a38ca, avec une largeur de façade de ± 15,72 Mètres, profondeur droite : ± 34,90Mètres, profondeur gauche : ± 27,31 Mètres. Très chouette rue vraiment ! Frais de bornage et de mesurage (1.028,50€ TVAC) et de raccordement à charge de l'acquéreur. Participation aux frais infrastructures réseaux éventuels à charge de l'acquéreur. Petite école communale à Perbais, à un jet de pierre de Chastre. Commune de Walhain mais de l'autre côté de la N4. Descriptif complet : www.valdelimmo.be. On visite ? Vous vous lancez ?

PERBAIS, commune de Walhain, mais à une rue de Chastre, vous serez conquis par la quiétude et la zénitude de cette belle campagne !

Il fait calme, vous êtes au vert, aux portes de magnifiques ballades.

Commerces de proximité, axes, école, Louvain-la-Neuve tout proche, vous vous situez au centre de tout.

Deux parcelles de terrain sont à vendre, issues de la division d'une propriété.

Il est à noter que, lorsque les parcelles seront vendues, un nouvel accès pour la fermette (existante en fonds de parcelle) va être créé, en manière telle que les 3 lots seront totalement indépendants.

Cette annonce concerne le lot 3 au plan de bornage et de mesurage du géomètre (lot bleu)

Frais de bornage et de mesurage à charge de l'acquéreur (1.028,50€)

Frais de raccordement à charge de l'acquéreur

Suite à la division du bien certaines intercommunales de distribution d’eau, de gaz et d’électricité (…), imposent une participation à l’infrastructure réseau même lorsque l’infrastructure est existante.

 

Il sera donc indiqué dans le compromis de vente que :

 

« Le vendeur et l’acquéreur conviennent que si de tels frais étaient réclamés, ces frais seraient supportés :

  • par l’acquéreur en ce qui concerne la parcelle achetée ;
  • par le vendeur pour la parcelle qu’il garde. »
Valérie MICHAUX
Valérie MICHAUXvalerie@valdelimmo.be

Partagez cette propriété


VALDEL IMMO A VENDU !!!
VALDEL IMMO A VENDU !!!
VALDEL IMMO A VENDU !!!
VALDEL IMMO A VENDU !!!
VALDEL IMMO A VENDU !!!
VALDEL IMMO A VENDU !!!
VALDEL IMMO A VENDU !!!
VALDEL IMMO A VENDU !!!
VALDEL IMMO A VENDU !!!
VALDEL IMMO A VENDU !!!
VALDEL IMMO A VENDU !!!
VALDEL IMMO A VENDU !!!
VALDEL IMMO A VENDU !!!
VALDEL IMMO A VENDU !!!
VALDEL IMMO A VENDU !!!
VALDEL IMMO A VENDU !!!
VALDEL IMMO A VENDU !!!
VALDEL IMMO A VENDU !!!
VALDEL IMMO A VENDU !!!

Informations générales


EnvironnementVert

Largeur du terrain15,72 m

Surface du terrain538 m²

Performance énergétique


Certificat d'électricitéPas encore demandé(e)

Financier


Prix€ 150.000

Confort


Informations urbanistiques


Droit de préemptionPas encore demandé(e)

Permis de lotissementPas encore demandé(e)

PermisPas encore demandé(e)

AffectationPas encore demandée

CitationPas encore demandé(e)

Informations générales


EnvironnementVert

Largeur du terrain15,72 m

Surface du terrain538 m²

Performance énergétique


Certificat d'électricitéPas encore demandé(e)

Financier


Prix€ 150.000

Confort


Informations urbanistiques


Droit de préemptionPas encore demandé(e)

Permis de lotissementPas encore demandé(e)

PermisPas encore demandé(e)

AffectationPas encore demandée

CitationPas encore demandé(e)

Biens similaires










Tous les biens
VALDEL IMMO A VENDU !!!
Option

VALDEL IMMO A VENDU !!!

6230 buzet (ref. 3776)
€ 140.000

909 m²
VALDEL IMMO A DEJA VENDU !!!!
Option

VALDEL IMMO A DEJA VENDU !!!!

1476 houtain-le-val (ref. 4008)
€ 175.000

841 m²
VALDEL IMMO A DEJA VENDU !!!
Option

VALDEL IMMO A DEJA VENDU !!!

1470 genappe (ref. 4010)
€ 175.000

841 m²
Belle vaste parcelle ds un des plus beaux villages de Wallonie !
Nouveau

Belle vaste parcelle ds un des plus beaux villages de Wallonie !

1370 mélin (ref. 4058)
€ 120.000

1663 m²
VALDEL IMMO A VENDU !!!!!!!
Option

VALDEL IMMO A VENDU !!!!!!!

5310 liernu (ref. 4096)
€ 125.000

1543 m²
Belle parcelle OUEST proche de tout ! VALDEL IMMO
Option

Belle parcelle OUEST proche de tout ! VALDEL IMMO

rue du broux , 1390 nethen (ref. 4353)
€ 140.000

1250 m²
Belle parcelle OUEST proche de tout !
Option

Belle parcelle OUEST proche de tout !

rue du broux , 1390 nethen (ref. 4354)
€ 160.000

1530 m²
VALDEL IMMO A DEJA VENDU !!!!
Option

VALDEL IMMO A DEJA VENDU !!!!

1435 mont-saint-guibert (ref. 4667)
€ 150.000
EPC label

2
2
116.74 m²
829 m²
2